您当前所在位置:首页>丰都县人民政府三合街道办事处>政务公开>法定主动公开内容>其他法定信息
| [ 索引号 ] | 1150023C711625445B/2026-00028 | [ 发文字号 ] | 无 |
| [ 主题分类 ] | 城乡建设(城乡管理) | [ 体裁分类 ] | 公告公示 |
| [ 发布机构 ] | 丰都县三合街道办事处 | [ 有效性 ] | |
| [ 成文日期 ] | 2026-03-04 | [ 发布日期 ] | 2026-03-04 |
| [ 索引号 ] | 1150023C711625445B/2026-00028 |
| [ 发文字号 ] | 无 |
| [ 主题分类 ] | 城乡建设(城乡管理) |
| [ 体裁分类 ] | 公告公示 |
| [ 发布机构 ] | 丰都县三合街道办事处 |
| [ 有效性 ] | |
| [ 成文日期 ] | 2026-03-04 |
| [ 发布日期 ] | 2026-03-04 |
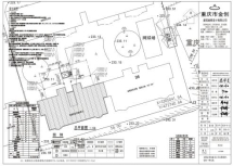
丰都县平都大道西段 237 号 4 单元 (检察院住宅楼)刘小华等全体业主公示
申请单位:丰都县平都大道西段 237 号 4 单元(检察院住宅楼)刘小华等全体业主
地 点:丰都县平都大道西段 237 号 4 单元
公示时间:2026年2月28日——3月6日
公示单位:丰都县人民政府三合街道办事处
联 系 人:三合街道办事处熊海攀 电话:023-70606981
意见反馈方式:
丰都县人民政府三合街道办事处对丰都县平都大道西段 237 号 4 单元申请增设电梯的内容进行公示,公开征询意见,若你单位或个人有意见和建议,请注明身份(单位名称、机构代码证及法定代表人身份证/个人姓名及身份证复印件)、联系电话,在2026年3月6日前将建议和意见通过电话或直接提交至丰都县人民政府三合街道办事处311办公室,若未提出的,视为自动放弃权利。
地址:丰都县三合街道平都大道西段50号





